URGENCES

24h/24 - 7j/7

01 49 85 83 00
Je souhaite être rappelé

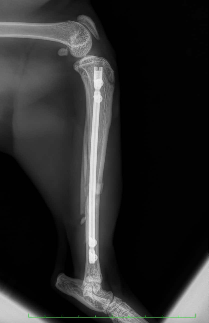
Les fractures chez le chat

Accueil Les fractures chez le chat

Les références

• Brinker WO, Piermattei DL, Flo GL. Fractures: classification, diagnosis and treatment. In: Brinker, Piermattei and Flo’s Handbook of Small Animal Orthopedics and Fracture Repair. 5th ed. Elsevier; 2016.
• Tobias KM, Johnston SA. Section IV: Musculoskeletal system. In: Veterinary Surgery: Small Animal. 2nd ed. Elsevier; 2017.
• Gibert S, Ragetly GR, Boudrieau RJ. Locking compression plate stabilization of 20 distal radial and ulnar fractures in toy and miniature breed dogs. Vet Comp Orthop Traumatol. 2015;28(6):441–7.
• Roels J, Tellhelm S, Vandermeulen E, Vermote K, Gemmill T, Levionnois O, et al. Retrospective study of the early clinical experience with a precontoured angle-stable interlocking nail for fracture repair in dogs and cats. Am J Vet Res. 2024 Jan 27:1–10.
• Camilletti P, d’Amato M. Long-term outcomes of atrophic/oligotrophic non-unions in dogs and cats treated with autologous iliac corticocancellous bone graft and circular external skeletal fixation: 19 cases (2014–2021). J Small Anim Pract. 2024 Feb;65(2):123–31.
• Camilletti P, d’Amato M. Successful centralisation technique for treatment of post-traumatic absence of the radial shaft in a dog. J Small Anim Pract. 2024 Jun;65(6):409–12.

Un chien a posé sa tête sur l'ordinateur portable d'une personne pendant qu'elle travaille

Restez connecté à la santé de vos animaux grâce à notre newsletter

Recevez nos conseils vétérinaires et actualités dans votre boîte mail. Inscrivez-vous dès maintenant pour ne rien manquer !

S'inscrire